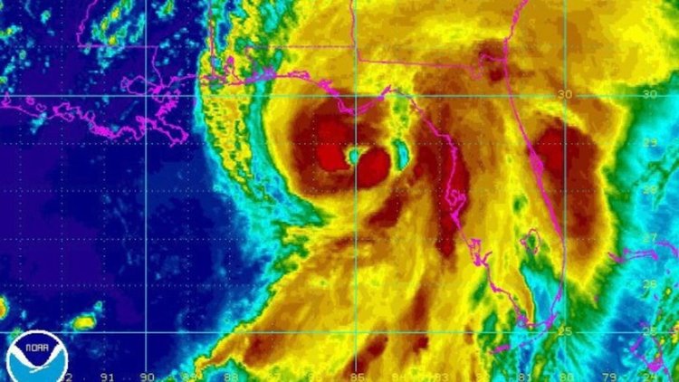
Бурята "Ермин" вече е ураган

Тропическата буря „Ермин” прерасна в ураган вчера следобед и се е насочила право към Флорида, показват данните на американския Център за наблюдение на ураганите.

Очаква се стихията да достигне югоизточния щат тази сутрин. Ураганът е от първа категория по петстепенната скала. Ермин се придвижва с 22 км/ч, а скоростта на съпътстващите ветрове достига 120 км/ч.

Националната гвардия на Флорида е частично мобилизирана, а жителите на потенциално рисковите райони са предупредени.

„Ермин” е четвъртият ураган от началото на сезона в Атлантическия океан.

Източник: http://btvnovinite.bg

Facebook коментари

Коментари в сайта

Последни новини